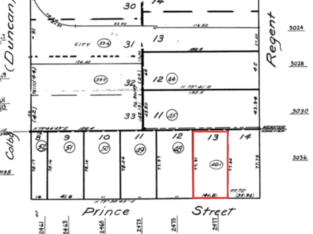
2477 PRINCE ST, BERKELEY CA 94705
- 3,251 sq.ft. lot
Property Description
Situated in a prime Berkeley location in the coveted Elmwood neighborhood, this 3,251 sq. ft. vacant parcel presents a rare opportunity to build your dream home with a fully usable, flat footprint and curb cut. The path is set for builders, architects and/or end users seeking a streamlined infill project in a highly accessible East Bay setting.
Listing Courtesy of Jodi Nishimura, Kai Real Estate
Use of this site means you agree to the Terms of Use
Based on information from California Regional Multiple Listing Service, Inc. as of January 6, 2026. This information is for your personal, non-commercial use and may not be used for any purpose other than to identify prospective properties you may be interested in purchasing. Display of MLS data is usually deemed reliable but is NOT guaranteed accurate by the MLS. Buyers are responsible for verifying the accuracy of all information and should investigate the data themselves or retain appropriate professionals. Information from sources other than the Listing Agent may have been included in the MLS data. Unless otherwise specified in writing, Broker/Agent has not and will not verify any information obtained from other sources. The Broker/Agent providing the information contained herein may or may not have been the Listing and/or Selling Agent.



















