0 UPPER TERRACE AVENUE, HALF MOON BAY CA 94019
- 348,480 sq.ft. lot
 
Property Description
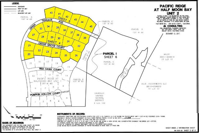
Don't miss this rare opportunity to build 26 homes as apart of a new subdivision (Pacific Ridge} on approximately 115 acres in Half Moon Bay. Pacific Ridge has the perfect setting to create a very desirable housing development that has the best of both worlds. It overlooks beautiful open space yet it is walking distance to downtown Half Moon Bay. These lots are part of a Coastal Development Permit issued by the California Coastal Comm'n for a single family subdivision with 63 lots. Phase 2 has 26 finished lots ranging in size from approx. 10,500 to 16,700 sf. The total aggregate habitable space is approx. 118,300 sf for 26 homes. Sufficient water connections and benefit units for sewer treatment for 26 homes. All utilites are underground and installed at each lot.
Listing Courtesy of John Alexander, Coldwell Banker Realty
Use of this site means you agree to the Terms of Use
Based on information from California Regional Multiple Listing Service, Inc. as of October 7, 2025. This information is for your personal, non-commercial use and may not be used for any purpose other than to identify prospective properties you may be interested in purchasing. Display of MLS data is usually deemed reliable but is NOT guaranteed accurate by the MLS. Buyers are responsible for verifying the accuracy of all information and should investigate the data themselves or retain appropriate professionals. Information from sources other than the Listing Agent may have been included in the MLS data. Unless otherwise specified in writing, Broker/Agent has not and will not verify any information obtained from other sources. The Broker/Agent providing the information contained herein may or may not have been the Listing and/or Selling Agent.
 


















